H 鼻尖形成術+鼻翼修正術(小鼻修正術)手術後2週間の症例写真 | プリモ麻布十番クリニック 美容整形ブログ 2503

H 鼻尖形成術+鼻翼修正術(小鼻修正術)手術後2週間の症例写真

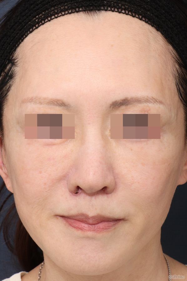
手術前の正面です。

他院で10年前に鼻翼縮小術、3年前に鼻先へ耳介軟骨移植を受けていらっしゃいましたが、

鼻の穴が狭くなってしまっていました。

小鼻の幅を広げて丸みを出したいということで、当院で鼻尖形成術+鼻翼修正術を行いました。

 

鼻翼修正術手術後2週間の経過写真です。

鼻翼が広がり、丸みのある自然な形になりました。

 

手術前の斜めからです。

 

手術後2週間の斜めからです。

 

手術前の横からです。

 

手術後2週間の横からです。

 

手術前の下からです。

 

手術後2週間の下からです。

鼻翼に丸みができて鼻の穴も自然な形態になりました。

 

・費用(税込、麻酔代別)

 

鼻尖形成術            ¥385,000

鼻翼修正術            ¥550,000

 

・リスク・副作用(起こり得る可能性のあること)

 

腫れ、内出血、鼻出血

鼻の知覚低下

鼻づまり

傷跡

鼻の形の左右差

鼻翼部が丸く感じる

鼻翼部が厚くなる、硬くなる

 


Author 美容形成外科医 大場 理事長/院長 ブログ

More posts by 美容形成外科医 大場 理事長/院長 ブログ

© 2018 Primo All rights reserved.

メールで相談 カウンセリング予約 公式LINE オンライン診療 オンラインショップ 0120-062-069